Asclepias syriaca: riconoscimento e gestione in ambito agricolo
Contesto
Asclepias syriaca, comunemente chiamata albero della seta o pianta dei pappagalli (figura 1), è una pianta perenne originaria del Nord America, considerata in Svizzera una specie invasiva e la cui coltivazione è vietata (Allegato 2.1 OEDA). Sebbene A. syriaca sia ancora relativamente rara nel nostro Paese, le segnalazioni su InfoFlora indicano che la pianta è presente da anni in focolai stabili e fertili sia in Ticino, sia a nord delle Alpi (figura 2). Negli ultimi anni è inoltre stato registrato un aumento delle segnalazioni di nuove popolazioni che attualmente sono ca. 200.
La pianta è segnalata soprattutto nei prati estensivi, sulle scarpate stradali e ferroviarie e sporadicamente nei siti ruderali e su altre tipologie di parcelle agricole. Parte delle popolazioni potrebbe derivare da esemplari coltivati in passato come ornamentali o per la produzione di nettare successivamente inselvatichiti. Queste osservazioni dimostrano che la specie è in grado di insediarsi e di diffondersi, motivo per cui è fondamentale individuarla tempestivamente e intervenire rapidamente.
La sua elevata capacità di rigenerazione e la sua tolleranza alla siccità, una qualità che potrebbe favorirla nelle future condizioni climatiche, la rendono una specie che potrebbe impattare negativamente la produzione agricola svizzera e la biodiversità.


Biologia e caratteristiche distintive
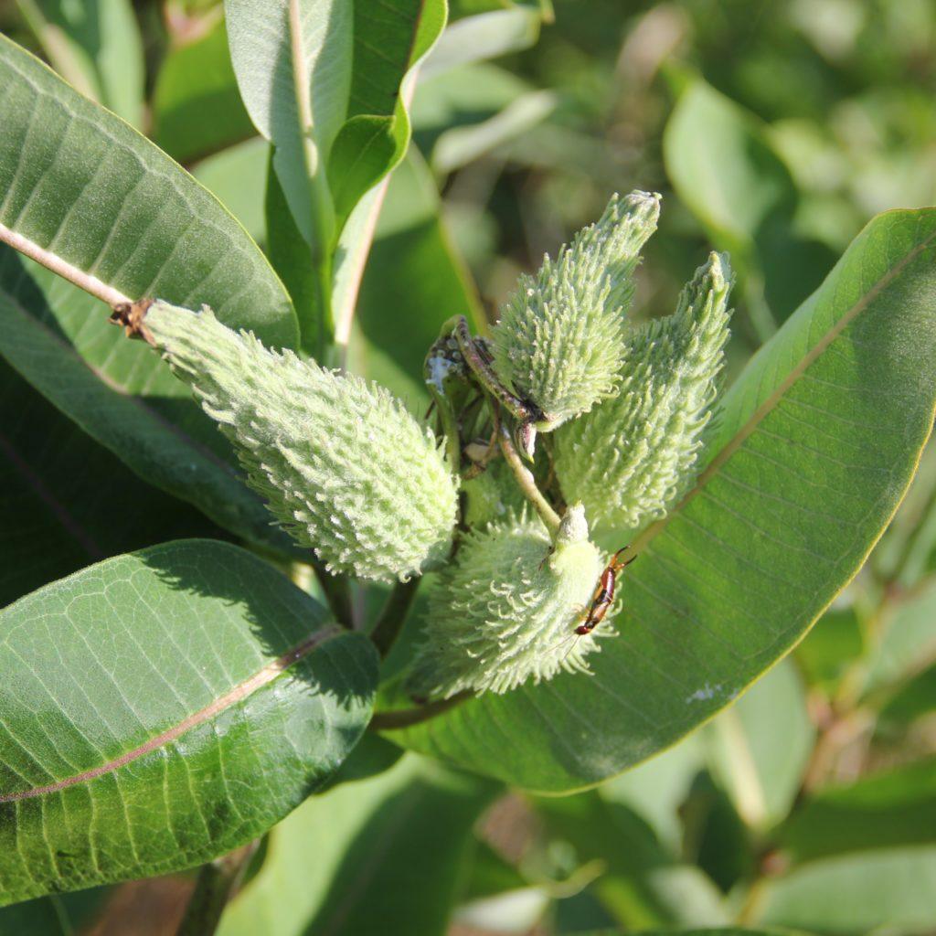
Asclepias syriaca è una pianta erbacea perenne vigorosa, alta fino a due metri, con foglie larghe, opposte, carnose, tomentose sul lato inferiore, che crescono su steli robusti, spessi fino a un centimetro (figura 1). Una caratteristica distintiva è il lattice bianco e appiccicoso (visibile in caso di lesioni alla pianta), irritante per l’uomo e gli animali da allevamento e tossico se assunto in grandi quantità (sostanze glicosidiche). In Svizzera le vistose infiorescenze rosa sono osservabili a partire da giugno e sono costituite da ombrelle sferiche che attirano numerosi impollinatori, tra cui le api (figura 3a). Dopo l’impollinazione, si sviluppano dei follicoli verdognoli lunghi 10-15 cm (che ricordano la forma di pappagallo, figura 3b) che si aprono a partire da ottobre, liberando numerosi semi leggeri e dotati di un pappo setoso (figura 3c). I semi possono essere trasportati dal vento su lunghe distanze, consentendo alla specie di raggiungere rapidamente nuovi habitat.



In inverno la parte aerea dissecca e la pianta sopravvive grazie all’apparato radicale ramificato e profondo (figura 4a,b), che spesso si estende su molti metri quadrati. Questo apparato radicale (le cosiddette “radici striscianti”) immagazzina sostanze nutritive e ha numerose gemme dormienti (figura 4c) in grado di produrre nuovi ricacci, in particolare a seguito di sfalci o lavorazioni meccaniche del suolo. I primi giovani germogli compaiono tipicamente in maggio e sviluppano rapidamente in alti steli.



Meccanismi di riproduzione e diffusione
Asclepias syriaca si diffonde in due modi: tramite i semi e tramite l’apparato radicale. Sebbene i semi germinino bene in condizioni controllate, i dati sperimentali dimostrano che i tassi di germinazione e di insediamento in ambienti naturali e stabili rimangono molto bassi. La pianta può attecchire quasi esclusivamente su suolo nudo, ad esempio dopo lavori di costruzione, una lavorazione del terreno o su superfici ruderali. In prati fitti o in condizioni di forte ombreggiamento, invece, la germinazione e l’attecchimento sono fortemente inibiti. La riproduzione sessuale è quindi possibile, ma in condizioni naturali contribuisce probabilmente solo in misura limitata alla diffusione.
La riproduzione vegetativa è molto più importante per la dinamica di diffusione in Svizzera. Asclepias syriaca forma un apparato radicale possente, molto ramificato e in parte profondo, con numerose gemme dormienti. Gli sfalci, soprattutto quelli effettuati sulla prima crescita della pianta (a basse quote ca. inizio giugno), e le lavorazioni meccaniche possono favorire l’espansione laterale dell’apparato radicale e attivare le gemme per la formazione di nuovi ricacci, favorendo la diffusione della pianta. Anche piccoli frammenti di radici sono in grado di formare nuove piante. Asclepias syriaca reagisce quindi fortemente a disturbi come l’aratura, la fresatura o lo sfalcio, cosicché interventi inadeguati possono accelerarne la diffusione invece di ridurla. Anche il trasporto o lo stoccaggio di terra contaminata può portare alla diffusione della specie e creare nuovi focolai di infestazione, così come lo spostamento di macchinari contaminati. Poiché la maggior parte della biomassa si trova sottoterra e le radici striscianti spesso si estendono ben oltre la vegetazione in superficie, le popolazioni possono continuare a esistere o espandersi anche se in superficie sono visibili solo pochi fusti. Questa crescita nascosta e difficile da individuare è uno dei motivi principali per cui Asclepias syriaca è difficile da controllare e deve essere individuata e trattata il più presto possibile.
Impatto sull’agricoltura e sull’ambiente
Un’infestazione non trattata di Asclepias syriaca può diventare un problema rilevante. Nelle colture agricole, la pianta compete fortemente per la luce, i nutrienti e l’acqua, il che può portare a una significativa perdita di resa. Anche nel suo areale di distribuzione naturale in Nord America è descritta come una malerba problematica, e porta a perdite economiche soprattutto per le colture di mais, soia, sorgo e cereali. Inoltre, il suo lattice contiene sostanze glucosidiche tossiche per il bestiame e che possono causare irritazione cutanea negli umani. In Ticino è stato osservato che i bovini al pascolo la evitano (figura 5).
La specie rappresenta una minaccia anche per i prati estensivi e le superfici per la promozione della biodiversità (SPB, figura 6) perché è molto competitiva nei confronti delle specie indigene. Nel corso degli anni può formare popolamenti densi e pressoché monospecifici. Anche per la gestione comunale rappresenta una sfida, in quanto può insediarsi lungo i bordi delle strade e della ferrovia, dove può svilupparsi inosservata per poi diffondersi negli ambiti agricoli o naturali circostanti.


Video sulla descrizione e l’impatto della specie.
Diagnosi precoce e primi interventi
Se in una superficie viene identificata Asclepias syriaca è importante reagire immediatamente. Una lavorazione del terreno incauta può favorire la dispersione di pezzi di radici e aumentare rapidamente l’infestazione, peggiorando la situazione. I semi, se ancora chiusi, devono essere rimossi e smaltiti in modo sicuro con i rifiuti solidi urbani, poiché possono sopravvivere e diffondersi nelle piazze di compostaggio. È opportuno segnalare la presenza della pianta con le apposite applicazioni (p.es. InvasivApp) e informare le autorità cantonali competenti, consentendo un approccio coordinato a livello regionale per controllare la sua diffusione.
Gestione
La gestione di questa specie è impegnativa, perché l’apparato radicale è vigoroso ed in grado di reagire ai trattamenti con nuovi ricacci (figura 7). Per riuscire a contenerla e ridurla è necessario combinare misure meccaniche e, se necessario, anche chimiche o elettriche per diversi anni (tabella 1).
In piccoli popolamenti può essere efficace un’accurata estirpazione manuale delle piante, con la rimozione più completa possibile dell’apparato radicale , a condizione che questa misura venga ripetuta frequentemente. Un singolo intervento non è sufficiente; è necessario un controllo ripetuto durante l’intero periodo vegetativo per diversi anni.
Nei prati è stato dimostrato che uno sfalcio molto frequente (>8 volte all’anno) durante un’intera stagione è la misura più efficace. Regimi di sfalcio meno frequenti (<4 volte all’anno) non sono sufficienti; al contrario, possono addirittura favorirne la crescita. Un classico regime di sfalcio (3-5 interventi), combinato con il taglio mirato dei ricacci tra uno sfalcio e l’altro, porta a lungo termine all’indebolimento dell’apparato radicale. Questo processo richiede tuttavia pazienza, e deve essere effettuato per diversi anni.
Nelle aziende agricole convenzionali può essere sensato l’uso di erbicidi. A differenza di molte altre piante problematiche, per le quali i trattamenti con erbicidi sono più efficaci solo nella fase avanzata del periodo vegetativo, Asclepias syriaca mostra una maggiore sensibilità ai trattamenti precoci. I trattamenti sono particolarmente efficaci nel mese di giugno, soprattutto nella fase in cui la pianta ricaccia dopo il primo sfalcio. Durante questa fase le foglie fresche e morbide sono facilmente bagnabili. Un’applicazione mirata con una campana per diserbo previene danni maggiori alla vegetazione circostante, evitando la deriva dell’erbicida. Anche in questo caso, per ottenere effetti duraturi, è necessario ripetere il trattamento per uno o due anni.
Sulla superficie coltiva arabile possono essere efficaci metodi meccanici come la fresatura, soprattutto se effettuati in condizioni meteorologiche secche, in modo che le radici che affiorano in superfice si disidratino. Tuttavia, esiste un alto rischio di trasportare parti di radici e creare nuovi focolai di infestazione. È quindi indispensabile pulire accuratamente i macchinari prima di lasciare l’area interessata. La pulizia deve avvenire immediatamente dopo la lavorazione e non solo una volta raggiunto il sito successivo.
Tabella 1. Metodi di gestione raccomandati per Asclepias syriaca in diversi contesti e secondo la dimensione delle superfici colonizzate (nel capitolo 7 sono presentati i metodi di gestione nel dettaglio).
| Contesto di applicazione e tipologia aziendale | Piccole superfici | Superfici estese |
|---|---|---|
| Aziende biologiche, aree di protezione delle acque sotterranee (erbicidi vietati) | Estirpazione manuale o elettrodiserbo |
|
| Aziende agricole convenzionali (erbicidi consentiti) | Estirpazione manuale o trattamento delle singole piante con glifosato |
|
| Aree di protezione della natura (p.es. biotopi) | Estirpazione manuale o elettrodiserbo | Sfalcio intensivo o elettrodiserbo |
Metodi di gestione nel dettaglio

Trattamento di singole piante con glifosato
Gli erbicidi sistemici vengono assorbiti dalle foglie e trasportati nelle parti sotterranee della pianta che vengono indebolite così come la loro capacità di rigenerazione.
| Vantaggi |
|
| Svantaggi |
|
| Esecuzione |
|
| Consigli |
|

Estirpazione
Rimozione manuale o meccanica dell’apparato radicale. Se i focolai sono di piccole dimensioni (fino a 5-10 m), è possibile utilizzare anche un escavatore.
| Vantaggi |
|
| Svantaggi |
|
| Esecuzione |
|
| Consigli |
|

Fresatura
Si tratta di una lavorazione intensiva del terreno che permette di frammentare l’apparato radicale, indebolendo la capacità di rigenerazione di Asclepias syriaca.
| Vantaggi |
|
| Svantaggi |
|
| Esecuzione |
|
| Consigli |
|

Sfalcio intensivo
Rimozione meccanica della parte epigea e progressivo esaurimento delle riserve energetiche dell’apparato radicale.
| Vantaggi |
|
| Svantaggi |
|
| Esecuzione |
|
| Consigli |
|

Elettrodiserbo
Questo metodo permette di distruggere i tessuti delle radici con corrente elettrica ad alto voltaggio.
| Funzionamento | L’operatore di una ditta specializzata tocca il colletto delle malerbe (Asclepias syriaca) con un’apposita lancia che genera un impulso elettrico. La corrente attraversa la pianta, segue le radici e viene ricondotta alla macchina tramite un picchetto di messa a terra precedentemente conficcato nel terreno. Il metodo è particolarmente efficace all’inizio del processo di eradicazione perché nelle fasi successive le radici diventano più fini e conducono meno bene la corrente. |
| Vantaggi | Adatto alle aziende biologiche, alle aree di protezione delle acque e della natura |
| Svantaggi |
|
| Esecuzione |
|
Prevenzione e controllo a lungo termine
La prevenzione è la protezione più efficace contro Asclepias syriaca. Controlli regolari delle superfici, in particolare in primavera, facilitano l’individuazione precoce di nuovi germogli. Evitare situazioni in cui la cotica erbosa risulta lacunosa o in cui vi sono porzioni di suolo nudo, perché favoriscono la germinazione e l’insediamento della pianta. Anche dopo aver gestito efficacemente la pianta, è necessario ricontrollare per diversi anni, perché Asclepias syriaca può ricrescere dai resti delle radici più profonde o da semi presenti nel terreno.
Video sulla gestione della specie.
Conclusioni
Asclepias syriaca è una specie vegetale invasiva con un notevole potenziale di diffusione e un’elevata capacità di rigenerazione. Soprattutto la riproduzione vegetativa tramite radici striscianti la rende una specie difficile da gestire. Il riconoscimento precoce, la prevenzione sistematica e un programma di gestione pluriennale sono fondamentali per impedire la diffusione e limitare i danni agli ambienti agricoli e naturali. Con un approccio coordinato e paziente è tuttavia possibile controllare con successo le popolazioni locali e impedirne l’ulteriore diffusione.
Colophon
Copertina, figure 3a, 3b, 6, 9, 10, 11: L. Bernasconi, AGRIDEA
Figure 1, 4a, 4b, 4c: A. Jousson, Agroscope
Figura 2: Info Flora
Figure 3c: B. Marazzi, Museo Cantonale di Storia Naturale
Figura 5: P.F. Alberto, AGRIDEA
Figura 7: V. D’Adda, Agroscope
Figura 8: M. Durini, Agroscope
Questa scheda è stata realizzata sulla base dei dati raccolti nel Cantone Ticino a titolo sperimentale e nell’ambito di un progetto di ricerca intitolato «Sharpening the tools to manage early-stage invasive plants in agriculture: a co-innovative case study based on Asclepias syriaca» finanziato dall’Ufficio federale dell’agricoltura, dall’Ufficio natura e paesaggio del Cantone Ticino e dalla Sezione per la protezione di aria, acqua e suolo del Cantone Ticino al quale hanno collaborato l’Istituto federale di ricerca per la foresta, la neve e il paesaggio, Agroscope, AGRIDEA, il Museo cantonale di storia naturale di Lugano, Info Flora e il Servizio fitosanitario del Cantone Ticino.